はじめての方にもおすすめの八丈島での体験ダイビング、初心者やブランクでも安心のガイドダイブ、丁寧でしっかりとしたPADI Cカード取得講習など、なによりもお越し下さるみなさまとの出会いを大切している東京から飛行機ですぐの八丈島のダイビングショップです!! []
ブログ記事カテゴリー
ショップINFO
TEL&FAX:
050-3547-3870
CELL:
080-2085-0526
e-mail:
八丈島サトウダイビング
〒100-1401
東京都八丈島八丈町
大賀郷4431-8
〒100-1401
東京都八丈島八丈町
大賀郷4431-8
2014/10/23 (Thu) 18:04:30
風も強いが時間とともに雨は上がってきてもいた今日の八丈島。海の方は、南西側は風にうねりも抑えられ穏やかな感じでした。
天気:雨のち曇り 風:北東 強く 気温:18-20℃
水温:25℃ 透明度:25m ダイビングポイント:八重根
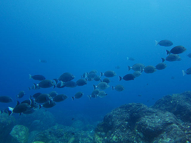
北東からの風も強く気温もいまいち上がりきらないこの頃ですが、南西側は落ちついてきていたので、本日は八重根でダイビングです。
時化後の海の中で天気もイマイチだったので、白濁りはあるものの、水は暖かでうねりもほとんどない感じで、ムロアジがちょろっと周ってきていたり、タイワンカマスはいつものように集まっていたりして、
砂の中にはハナアナゴ、穴の奥にはお腹が相変わらずパンパンになってるイタチウオ、ハコフグの子どもなんかもいたりして、
シュンカンハゼはあんまり隠れず出てきていたり、沖まで行くとセナキルリスズメダイやナガサキスズメダイの子ども、シコクスズメダイなんかはたくさん見かけたり、
ヒョウモンダコなんかもアーチの下にいたりして、コガネキュウセンの子どもにアカハタの子ども、アデヤカミノウミウシなんかもおりました。
明日は風も弱まり天気は回復。前線を伴った低気圧も通り過ぎ時間とともに穏やかな陽気になってきそうです。
天気:雨のち曇り 風:北東 強く 気温:18-20℃
水温:25℃ 透明度:25m ダイビングポイント:八重根
北東からの風も強く気温もいまいち上がりきらないこの頃ですが、南西側は落ちついてきていたので、本日は八重根でダイビングです。
時化後の海の中で天気もイマイチだったので、白濁りはあるものの、水は暖かでうねりもほとんどない感じで、ムロアジがちょろっと周ってきていたり、タイワンカマスはいつものように集まっていたりして、
砂の中にはハナアナゴ、穴の奥にはお腹が相変わらずパンパンになってるイタチウオ、ハコフグの子どもなんかもいたりして、
シュンカンハゼはあんまり隠れず出てきていたり、沖まで行くとセナキルリスズメダイやナガサキスズメダイの子ども、シコクスズメダイなんかはたくさん見かけたり、
ヒョウモンダコなんかもアーチの下にいたりして、コガネキュウセンの子どもにアカハタの子ども、アデヤカミノウミウシなんかもおりました。
明日は風も弱まり天気は回復。前線を伴った低気圧も通り過ぎ時間とともに穏やかな陽気になってきそうです。
PR
2014/10/22 (Wed) 17:31:24
2014/10/21 (Tue) 17:44:35
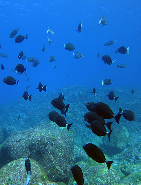
雲も広がり南からの風も少し吹き始めていた今日の八丈島。海の方は、南西側は次第にバシャバシャしてきていました。
天気:曇りのち雨 風:南 やや強く 気温:18-25℃
水温:22-24℃ 透明度:30m ダイビングポイント:ナズマド
南からの風も吹き始めていましたが、本日もナズマドでダイビングです。
午後遅くにはちょっと南潮になってきている感じもありましたが、日中は北潮がほんのりかかっている程度で、沖の深いところは少し冷たい水もありました。
浅場には今日もメジナやニザダイが集まっていたり、スマっぽいのやカマスサワラっぽいのも通り過ぎ、ツバメウオも一所懸命にパクパクなんかを食べていたり、
ハナミノカサゴの若いやつやキリンミノ、ヒレナガハギもいたりして、
レンテンヤッコやアブラヤッコの小さいやつや、タテジマキンチャクダの子どもは、いろんなところにたくさんいたり、ソメワケヤッコはところどころで目についたり、サンゴの上にはミナミゴンベ、メガネゴンベ、ホシゴンベなんかのゴンベの仲間もたくさんいたりしておりました。
明日からは前線が次第に近づいてきて、風は西寄り天気は雨の予報です。夕方頃は少し収まってる西からの風も、日中には吹き続けるみたいですし、南西側の沖はバシャバシャしてきそうな雰囲気です。
天気:曇りのち雨 風:南 やや強く 気温:18-25℃
水温:22-24℃ 透明度:30m ダイビングポイント:ナズマド
南からの風も吹き始めていましたが、本日もナズマドでダイビングです。
午後遅くにはちょっと南潮になってきている感じもありましたが、日中は北潮がほんのりかかっている程度で、沖の深いところは少し冷たい水もありました。
浅場には今日もメジナやニザダイが集まっていたり、スマっぽいのやカマスサワラっぽいのも通り過ぎ、ツバメウオも一所懸命にパクパクなんかを食べていたり、
ハナミノカサゴの若いやつやキリンミノ、ヒレナガハギもいたりして、
レンテンヤッコやアブラヤッコの小さいやつや、タテジマキンチャクダの子どもは、いろんなところにたくさんいたり、ソメワケヤッコはところどころで目についたり、サンゴの上にはミナミゴンベ、メガネゴンベ、ホシゴンベなんかのゴンベの仲間もたくさんいたりしておりました。
明日からは前線が次第に近づいてきて、風は西寄り天気は雨の予報です。夕方頃は少し収まってる西からの風も、日中には吹き続けるみたいですし、南西側の沖はバシャバシャしてきそうな雰囲気です。
2014/10/20 (Mon) 18:17:41
風も弱まりカラッとした青空が続いていた今日の八丈島。海の方は、南西側は引き続き穏やかな感じでした。
天気:晴れ 風:東→南東 気温:18-25℃
水温:23℃ 透明度:30m~ ダイビングポイント:ナズマド
続く青空気持ちよく、風も穏やかになっていたので、本日もナズマドでダイビングです。
水温は少し下がっていましたが、水は綺麗で、午前中は北潮そこそこ流れていたんで、ちょっと遠出してシンジュアナゴを見に行って、道中、ニザダイとメジナが群れていたり、イトヒキアジの子どもなんかも通っていって、
午後からは潮が変わって南からで、ミナミゴンベにホシゴンベ、レンテンヤッコの子どもにユウゼンなんかもおりまして。ちょっと沖では、ヒラマサやカマスサワラも周ってきてたりしてました。
明日からゆっくり天気は下り坂。風も南寄りで強まってもくるみたいなので、時間ともに南西側はパシャついてきそうな感じです。
天気:晴れ 風:東→南東 気温:18-25℃
水温:23℃ 透明度:30m~ ダイビングポイント:ナズマド
続く青空気持ちよく、風も穏やかになっていたので、本日もナズマドでダイビングです。
水温は少し下がっていましたが、水は綺麗で、午前中は北潮そこそこ流れていたんで、ちょっと遠出してシンジュアナゴを見に行って、道中、ニザダイとメジナが群れていたり、イトヒキアジの子どもなんかも通っていって、
午後からは潮が変わって南からで、ミナミゴンベにホシゴンベ、レンテンヤッコの子どもにユウゼンなんかもおりまして。ちょっと沖では、ヒラマサやカマスサワラも周ってきてたりしてました。
明日からゆっくり天気は下り坂。風も南寄りで強まってもくるみたいなので、時間ともに南西側はパシャついてきそうな感じです。
ARCHIVE
CALENDAR
COMMENTS
2015年3月から15件表示中
初シュノーケリング
2015/03/29 A
2015/03/29 A
初ダイビング
2015/03/23 漆原
2015/03/23 漆原
ウミガメがたくさん!
2015/01/12 西嶋
2015/01/12 西嶋
ウミガメー!
2015/01/11 古城
2015/01/11 古城
無題
2014/11/17 (≧∇≦)名前はヒミツさん
2014/11/17 (≧∇≦)名前はヒミツさん
無題
2014/11/03 猪狩千鶴 大淵愼子
2014/11/03 猪狩千鶴 大淵愼子
無題
2014/10/29 (≧∇≦)名前はヒミツさん
2014/10/29 (≧∇≦)名前はヒミツさん
ありがとうございました!
2014/10/15 みさ
2014/10/15 みさ
ダイビングしてよかった!!
2014/09/22 mako
2014/09/22 mako
素敵な思い出になりました!
2014/09/20 kawamura
2014/09/20 kawamura
よかったです!
2014/09/20 suzuki
2014/09/20 suzuki
ありがとうございました
2014/09/19 Ryougaの母
2014/09/19 Ryougaの母
ウミガメが目の前に・・・
2014/09/19 Ryouga
2014/09/19 Ryouga
無題
2014/09/19 ヨコカワ
2014/09/19 ヨコカワ
美しい青い海に感動しました!
2014/09/19 ヨコカワ
2014/09/19 ヨコカワ