はじめての方にもおすすめの八丈島での体験ダイビング、初心者やブランクでも安心のガイドダイブ、丁寧でしっかりとしたPADI Cカード取得講習など、なによりもお越し下さるみなさまとの出会いを大切している東京から飛行機ですぐの八丈島のダイビングショップです!! [西風強くもありますが]
ブログ記事カテゴリー
ショップINFO
TEL&FAX:
050-3547-3870
CELL:
080-2085-0526
e-mail:
八丈島サトウダイビング
〒100-1401
東京都八丈島八丈町
大賀郷4431-8
〒100-1401
東京都八丈島八丈町
大賀郷4431-8
2014/03/25 (Tue) 19:16:39
暖かな西風吹くが天気はそこそこ良くもあった今日の八丈島。海の方は、風が強まるにつれ南西側はバシャバシャしてきて、北東側はペッタリでした。
天気:晴れ所により曇り 風:西 やや強く 気温:12-19℃
水温:19℃ 透明度:25-30m 体験ダイビングポイント:底土
明け方くらいから風が強まってきていて、八重根も少しパシャついてきていたので、本日はペッタリな底土で体験ダイビングです。
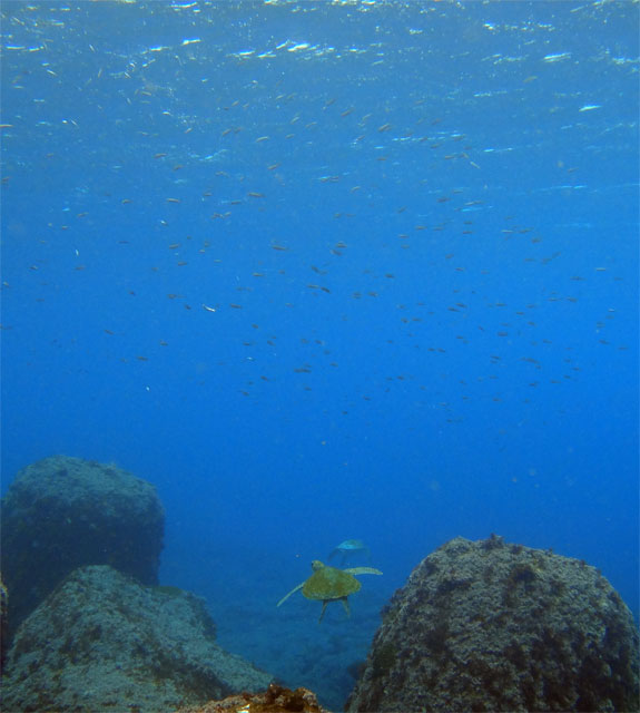
ショップで説明したあと、足のつくところから海に入って、呼吸や耳抜きなんかの練習をして、初めは少し緊張気味でしたが、浅いところをゆっくり行って、アカエソやニシキベラ、ソラスズメダイやアメフラシの仲間なんかをのんびり見ながら、海にしっかり慣れて頂き、初めてのダイビングにしては、呼吸も耳抜きもほとんど問題なかったんで、少し沖まで泳いで行って、大小たくさんのアオウミガメを見てみたり。
午後からは、午前中にいろいろ慣れて頂いたんで、一気に沖まで泳いで行って、大きなアーチや、アーチに集まるたくさんの魚達を見て頂き、帰りに小ぶりのアオウミガメと一緒に泳いで見てみたり。
あんまりのんびりし過ぎると、さすがに少し寒さはあるものの、そこそこ色々な海の生き物もご紹介でき、若干波酔い気味になりそうだったそうですが、酔い止め効果で春の海を楽しんで頂けました。
これから天気は下り坂。西風はずっと吹き続けていますし、明日には雨もぱらつく予報。明後日にかけ、低気圧接近で、ちょっと荒れた天気となって行きそうな感じです。
天気:晴れ所により曇り 風:西 やや強く 気温:12-19℃
水温:19℃ 透明度:25-30m 体験ダイビングポイント:底土
明け方くらいから風が強まってきていて、八重根も少しパシャついてきていたので、本日はペッタリな底土で体験ダイビングです。
ショップで説明したあと、足のつくところから海に入って、呼吸や耳抜きなんかの練習をして、初めは少し緊張気味でしたが、浅いところをゆっくり行って、アカエソやニシキベラ、ソラスズメダイやアメフラシの仲間なんかをのんびり見ながら、海にしっかり慣れて頂き、初めてのダイビングにしては、呼吸も耳抜きもほとんど問題なかったんで、少し沖まで泳いで行って、大小たくさんのアオウミガメを見てみたり。
午後からは、午前中にいろいろ慣れて頂いたんで、一気に沖まで泳いで行って、大きなアーチや、アーチに集まるたくさんの魚達を見て頂き、帰りに小ぶりのアオウミガメと一緒に泳いで見てみたり。
あんまりのんびりし過ぎると、さすがに少し寒さはあるものの、そこそこ色々な海の生き物もご紹介でき、若干波酔い気味になりそうだったそうですが、酔い止め効果で春の海を楽しんで頂けました。
これから天気は下り坂。西風はずっと吹き続けていますし、明日には雨もぱらつく予報。明後日にかけ、低気圧接近で、ちょっと荒れた天気となって行きそうな感じです。
PR
この記事にコメントする
ARCHIVE
CALENDAR
COMMENTS
2015年3月から15件表示中
初シュノーケリング
2015/03/29 A
2015/03/29 A
初ダイビング
2015/03/23 漆原
2015/03/23 漆原
ウミガメがたくさん!
2015/01/12 西嶋
2015/01/12 西嶋
ウミガメー!
2015/01/11 古城
2015/01/11 古城
無題
2014/11/17 (≧∇≦)名前はヒミツさん
2014/11/17 (≧∇≦)名前はヒミツさん
無題
2014/11/03 猪狩千鶴 大淵愼子
2014/11/03 猪狩千鶴 大淵愼子
無題
2014/10/29 (≧∇≦)名前はヒミツさん
2014/10/29 (≧∇≦)名前はヒミツさん
ありがとうございました!
2014/10/15 みさ
2014/10/15 みさ
ダイビングしてよかった!!
2014/09/22 mako
2014/09/22 mako
素敵な思い出になりました!
2014/09/20 kawamura
2014/09/20 kawamura
よかったです!
2014/09/20 suzuki
2014/09/20 suzuki
ありがとうございました
2014/09/19 Ryougaの母
2014/09/19 Ryougaの母
ウミガメが目の前に・・・
2014/09/19 Ryouga
2014/09/19 Ryouga
無題
2014/09/19 ヨコカワ
2014/09/19 ヨコカワ
美しい青い海に感動しました!
2014/09/19 ヨコカワ
2014/09/19 ヨコカワ