はじめての方にもおすすめの八丈島での体験ダイビング、初心者やブランクでも安心のガイドダイブ、丁寧でしっかりとしたPADI Cカード取得講習など、なによりもお越し下さるみなさまとの出会いを大切している東京から飛行機ですぐの八丈島のダイビングショップです!! [雲が多めの夏ですが]
ブログ記事カテゴリー
ショップINFO
TEL&FAX:
050-3547-3870
CELL:
080-2085-0526
e-mail:
八丈島サトウダイビング
〒100-1401
東京都八丈島八丈町
大賀郷4431-8
〒100-1401
東京都八丈島八丈町
大賀郷4431-8
2013/08/10 (Sat) 17:46:05
雲が広がり蒸し暑い蒸した一日となっていた今日の八丈島。海の方は、南西側は風波で沖はバシャバシャしてきておりました。
天気:曇り 風:西南西 気温:27-30℃
水温:28-29℃ 透明度:20-30m ダイビングポイント:八重根
夏の青空はどこへやらで曇天模様となり南西側もバシャバシャしてきていましたが、八重根はそんなに荒れてもなかったので本日も八重根で体験ダイビングです。
初めはやっぱり足のつく安心できる八重根のタイドプールで練習をして、ニシキベラやコガシラベラにいつものように囲まれたりしながら海に慣れて頂いて、
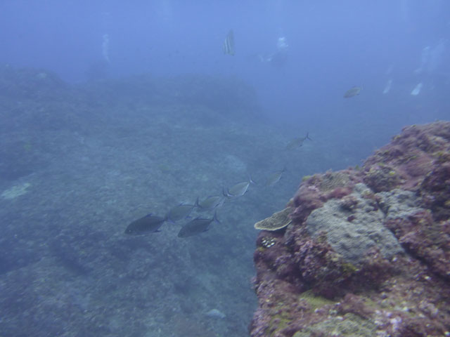
海に慣れてきたところで八重根で沖まででてみたり。手前はちょっと白濁りもしておりますが、アカカマスが群れていたり、とっても大きなハマフエフキがいたり、沖まででると青い海が広がっていたりもして、
途中ナンヨウカイワリやツバメウオなんかも見つつ、今日も運よくカメの寝込みにこっそり近づけたりと、夏の八丈島の海を楽しんで頂けました。
明日も天気も風も変わらずな感じで、沖はパシャついていそうですが、八重根は落ち着いていてくれそうな雰囲気です。
天気:曇り 風:西南西 気温:27-30℃
水温:28-29℃ 透明度:20-30m ダイビングポイント:八重根
夏の青空はどこへやらで曇天模様となり南西側もバシャバシャしてきていましたが、八重根はそんなに荒れてもなかったので本日も八重根で体験ダイビングです。
初めはやっぱり足のつく安心できる八重根のタイドプールで練習をして、ニシキベラやコガシラベラにいつものように囲まれたりしながら海に慣れて頂いて、
海に慣れてきたところで八重根で沖まででてみたり。手前はちょっと白濁りもしておりますが、アカカマスが群れていたり、とっても大きなハマフエフキがいたり、沖まででると青い海が広がっていたりもして、
途中ナンヨウカイワリやツバメウオなんかも見つつ、今日も運よくカメの寝込みにこっそり近づけたりと、夏の八丈島の海を楽しんで頂けました。
明日も天気も風も変わらずな感じで、沖はパシャついていそうですが、八重根は落ち着いていてくれそうな雰囲気です。
PR
この記事にコメントする
ARCHIVE
CALENDAR
COMMENTS
2015年3月から15件表示中
初シュノーケリング
2015/03/29 A
2015/03/29 A
初ダイビング
2015/03/23 漆原
2015/03/23 漆原
ウミガメがたくさん!
2015/01/12 西嶋
2015/01/12 西嶋
ウミガメー!
2015/01/11 古城
2015/01/11 古城
無題
2014/11/17 (≧∇≦)名前はヒミツさん
2014/11/17 (≧∇≦)名前はヒミツさん
無題
2014/11/03 猪狩千鶴 大淵愼子
2014/11/03 猪狩千鶴 大淵愼子
無題
2014/10/29 (≧∇≦)名前はヒミツさん
2014/10/29 (≧∇≦)名前はヒミツさん
ありがとうございました!
2014/10/15 みさ
2014/10/15 みさ
ダイビングしてよかった!!
2014/09/22 mako
2014/09/22 mako
素敵な思い出になりました!
2014/09/20 kawamura
2014/09/20 kawamura
よかったです!
2014/09/20 suzuki
2014/09/20 suzuki
ありがとうございました
2014/09/19 Ryougaの母
2014/09/19 Ryougaの母
ウミガメが目の前に・・・
2014/09/19 Ryouga
2014/09/19 Ryouga
無題
2014/09/19 ヨコカワ
2014/09/19 ヨコカワ
美しい青い海に感動しました!
2014/09/19 ヨコカワ
2014/09/19 ヨコカワ