はじめての方にもおすすめの八丈島での体験ダイビング、初心者やブランクでも安心のガイドダイブ、丁寧でしっかりとしたPADI Cカード取得講習など、なによりもお越し下さるみなさまとの出会いを大切している東京から飛行機ですぐの八丈島のダイビングショップです!! [水温下がるが水きれい]
ブログ記事カテゴリー
ショップINFO
TEL&FAX:
050-3547-3870
CELL:
080-2085-0526
e-mail:
八丈島サトウダイビング
〒100-1401
東京都八丈島八丈町
大賀郷4431-8
〒100-1401
東京都八丈島八丈町
大賀郷4431-8
2013/07/20 (Sat) 18:29:59
風が涼しくなんだかちょっと秋っぽい感じもしていた今日の八丈島。海の方は、南西側は北に行くほどうねりが少しありましたが落ち着いておりました。
天気:曇り日中晴れ 風:北東やや強く 気温:21-25℃
水温:20-21℃ 透明度:18-25m ダイビングポイント:八重根


カラッと涼しい風が吹いてとっても過ごしやすい一日となっており、南西側の海は凪いでいたので本日は八重根で体験ダイビングです。


朝から潮位の低さが気にもなっておりましたが、やっぱり水温は下がっておりまして、陸と同じく海の中も涼しげな感じです。でも濁りは少し取れてるところもあったりもして、潮のあたり具合で水温が変わるこの頃です。



そんなこんなでショップで説明をしたあと、足のつく八重根のタイドプールで練習をして、八重根に移動して体験ダイビングです。



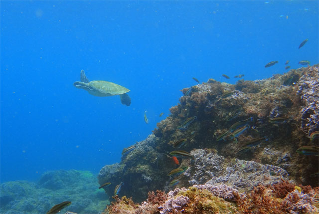
キホシスズメダイの集まりや、ソラスズメダイは子どももたくさん出てきていて、午前中にはムロアジの群れなんかも見られました。ほかにも長細いアオヤガラやウミスズメ、ハコフグやハリセンボンなんかもいたりして。



アオウミガメも水温下がってちょっと元気がなさ気な感じでもありましたが今日もしっかり見られたりもして。
明日も風は変わらず北寄りで、午後遅くの八重根は若干潮うねりっぽいのが入っておりましたが、南西側の海は凪いでくれそう。気温もそこそこ上がってくるんで、陸は少し夏っぽさが戻ってきそうな雰囲気です。
天気:曇り日中晴れ 風:北東やや強く 気温:21-25℃
水温:20-21℃ 透明度:18-25m ダイビングポイント:八重根
カラッと涼しい風が吹いてとっても過ごしやすい一日となっており、南西側の海は凪いでいたので本日は八重根で体験ダイビングです。
朝から潮位の低さが気にもなっておりましたが、やっぱり水温は下がっておりまして、陸と同じく海の中も涼しげな感じです。でも濁りは少し取れてるところもあったりもして、潮のあたり具合で水温が変わるこの頃です。
そんなこんなでショップで説明をしたあと、足のつく八重根のタイドプールで練習をして、八重根に移動して体験ダイビングです。
キホシスズメダイの集まりや、ソラスズメダイは子どももたくさん出てきていて、午前中にはムロアジの群れなんかも見られました。ほかにも長細いアオヤガラやウミスズメ、ハコフグやハリセンボンなんかもいたりして。
アオウミガメも水温下がってちょっと元気がなさ気な感じでもありましたが今日もしっかり見られたりもして。
明日も風は変わらず北寄りで、午後遅くの八重根は若干潮うねりっぽいのが入っておりましたが、南西側の海は凪いでくれそう。気温もそこそこ上がってくるんで、陸は少し夏っぽさが戻ってきそうな雰囲気です。
PR
この記事にコメントする
ARCHIVE
CALENDAR
COMMENTS
2015年3月から15件表示中
初シュノーケリング
2015/03/29 A
2015/03/29 A
初ダイビング
2015/03/23 漆原
2015/03/23 漆原
ウミガメがたくさん!
2015/01/12 西嶋
2015/01/12 西嶋
ウミガメー!
2015/01/11 古城
2015/01/11 古城
無題
2014/11/17 (≧∇≦)名前はヒミツさん
2014/11/17 (≧∇≦)名前はヒミツさん
無題
2014/11/03 猪狩千鶴 大淵愼子
2014/11/03 猪狩千鶴 大淵愼子
無題
2014/10/29 (≧∇≦)名前はヒミツさん
2014/10/29 (≧∇≦)名前はヒミツさん
ありがとうございました!
2014/10/15 みさ
2014/10/15 みさ
ダイビングしてよかった!!
2014/09/22 mako
2014/09/22 mako
素敵な思い出になりました!
2014/09/20 kawamura
2014/09/20 kawamura
よかったです!
2014/09/20 suzuki
2014/09/20 suzuki
ありがとうございました
2014/09/19 Ryougaの母
2014/09/19 Ryougaの母
ウミガメが目の前に・・・
2014/09/19 Ryouga
2014/09/19 Ryouga
無題
2014/09/19 ヨコカワ
2014/09/19 ヨコカワ
美しい青い海に感動しました!
2014/09/19 ヨコカワ
2014/09/19 ヨコカワ