はじめての方にもおすすめの八丈島での体験ダイビング、初心者やブランクでも安心のガイドダイブ、丁寧でしっかりとしたPADI Cカード取得講習など、なによりもお越し下さるみなさまとの出会いを大切している東京から飛行機ですぐの八丈島のダイビングショップです!! [雲が降りつつ山々隠れ]
ブログ記事カテゴリー
ショップINFO
TEL&FAX:
050-3547-3870
CELL:
080-2085-0526
e-mail:
八丈島サトウダイビング
〒100-1401
東京都八丈島八丈町
大賀郷4431-8
〒100-1401
東京都八丈島八丈町
大賀郷4431-8
2013/07/18 (Thu) 18:46:12
雲も下がって朝方少し雨もパラつきもしていた今日の八丈島。海の方は、南西側は時間とともに北からのうねりが強くなってきておりました。
天気:薄曇り時々晴れ 風:南西 やや強く 気温:21-28℃
水温:24-25℃ 透明度:18m ダイビングポイント:八重根



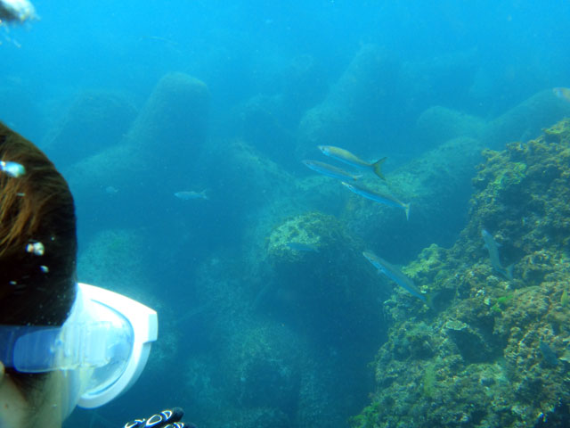
湿度も少し上がって山にも雲がかかり気味ではありますが、日中は日差しも出てきてそれなりに暑くもなっておりまして、南西側の海は風で少しパシャついてきておりましたが、本日は早めに八重根で体験ダイビングです。




潮位の低さは変わらずですが浅場は暖かな感じで、八重根のタイドプールではニシキベラがワサワサ群れてきてまして、ニシキベラのワシャ群れの中にコガシラベラやヤマブキベラがまじっていたり、カゴガキダイもスクスク大きく育っており見やすいサイズとなっております。あとはキタマクラの子どもやメジナの子ども、枯れ葉になりきってるツマジロオコゼなんかもみたりして、



午後からは体験経験者で耳抜きも呼吸もぜんぜん問題ない方でしたので、風波でパシャつきうねりもありましたが八重根に行ってみたりもして。湾内の比較的静かな所で、少し海に慣れて頂き、ソラスズメダイやコールマンウミウシ、メジナの群れにアカカマスの群れなんかも見て、




今日近場でアオウミガメも見られ、小さいやつに中くらいのやつ、あとは大きいやつもゆっくり泳いでおりました。若干水は濁っており、冷たい所もありそうな雰囲気ではありますが、浅いところは暖かでうねりはあるものの魚もたくさんの八丈島の海を楽しんで頂けました。
それにしても、うねりがなんだかちょっときつめに入ってきており、夕方頃のナズマドはバシャバシャになっておりました。うねりの向きは北西くらいなんで北にできてる低気圧の影響っぽいですが、少しずつ勢力も弱まる予報なんで、時間とともに北からのうねりは取れても来そうな雰囲気です。でもちょっと夕方くらいから海鳴りが大きくなってる気もするんですけど・・・
天気:薄曇り時々晴れ 風:南西 やや強く 気温:21-28℃
水温:24-25℃ 透明度:18m ダイビングポイント:八重根
湿度も少し上がって山にも雲がかかり気味ではありますが、日中は日差しも出てきてそれなりに暑くもなっておりまして、南西側の海は風で少しパシャついてきておりましたが、本日は早めに八重根で体験ダイビングです。
潮位の低さは変わらずですが浅場は暖かな感じで、八重根のタイドプールではニシキベラがワサワサ群れてきてまして、ニシキベラのワシャ群れの中にコガシラベラやヤマブキベラがまじっていたり、カゴガキダイもスクスク大きく育っており見やすいサイズとなっております。あとはキタマクラの子どもやメジナの子ども、枯れ葉になりきってるツマジロオコゼなんかもみたりして、
午後からは体験経験者で耳抜きも呼吸もぜんぜん問題ない方でしたので、風波でパシャつきうねりもありましたが八重根に行ってみたりもして。湾内の比較的静かな所で、少し海に慣れて頂き、ソラスズメダイやコールマンウミウシ、メジナの群れにアカカマスの群れなんかも見て、
今日近場でアオウミガメも見られ、小さいやつに中くらいのやつ、あとは大きいやつもゆっくり泳いでおりました。若干水は濁っており、冷たい所もありそうな雰囲気ではありますが、浅いところは暖かでうねりはあるものの魚もたくさんの八丈島の海を楽しんで頂けました。
それにしても、うねりがなんだかちょっときつめに入ってきており、夕方頃のナズマドはバシャバシャになっておりました。うねりの向きは北西くらいなんで北にできてる低気圧の影響っぽいですが、少しずつ勢力も弱まる予報なんで、時間とともに北からのうねりは取れても来そうな雰囲気です。でもちょっと夕方くらいから海鳴りが大きくなってる気もするんですけど・・・
PR
この記事にコメントする
楽しかったー‼
久々の体験ダイビングでしたが、いろいろと詳しく説明していただいて安心してダイビングできました(^^)
カメも魚も小さな生き物もたくさん見れて幸せでした‼
一人旅のいい思い出ができて感謝してます(*^^*)
ありがとうございました☆
カメも魚も小さな生き物もたくさん見れて幸せでした‼
一人旅のいい思い出ができて感謝してます(*^^*)
ありがとうございました☆
Re:楽しかったー‼
海況にも恵まれ水の中もぜんぜん問題ない感じでしたので、こちらとしてもとってもやりやすくて助かりました。ぜひぜひ、またの機会がありましたら八丈島に遊びにいらして頂ければと思います。ありがとうございました。
ARCHIVE
CALENDAR
COMMENTS
2015年3月から15件表示中
初シュノーケリング
2015/03/29 A
2015/03/29 A
初ダイビング
2015/03/23 漆原
2015/03/23 漆原
ウミガメがたくさん!
2015/01/12 西嶋
2015/01/12 西嶋
ウミガメー!
2015/01/11 古城
2015/01/11 古城
無題
2014/11/17 (≧∇≦)名前はヒミツさん
2014/11/17 (≧∇≦)名前はヒミツさん
無題
2014/11/03 猪狩千鶴 大淵愼子
2014/11/03 猪狩千鶴 大淵愼子
無題
2014/10/29 (≧∇≦)名前はヒミツさん
2014/10/29 (≧∇≦)名前はヒミツさん
ありがとうございました!
2014/10/15 みさ
2014/10/15 みさ
ダイビングしてよかった!!
2014/09/22 mako
2014/09/22 mako
素敵な思い出になりました!
2014/09/20 kawamura
2014/09/20 kawamura
よかったです!
2014/09/20 suzuki
2014/09/20 suzuki
ありがとうございました
2014/09/19 Ryougaの母
2014/09/19 Ryougaの母
ウミガメが目の前に・・・
2014/09/19 Ryouga
2014/09/19 Ryouga
無題
2014/09/19 ヨコカワ
2014/09/19 ヨコカワ
美しい青い海に感動しました!
2014/09/19 ヨコカワ
2014/09/19 ヨコカワ