はじめての方にもおすすめの八丈島での体験ダイビング、初心者やブランクでも安心のガイドダイブ、丁寧でしっかりとしたPADI Cカード取得講習など、なによりもお越し下さるみなさまとの出会いを大切している東京から飛行機ですぐの八丈島のダイビングショップです!! [秋の穏やか陽気となって]
ブログ記事カテゴリー
ショップINFO
TEL&FAX:
050-3547-3870
CELL:
080-2085-0526
e-mail:
八丈島サトウダイビング
〒100-1401
東京都八丈島八丈町
大賀郷4431-8
〒100-1401
東京都八丈島八丈町
大賀郷4431-8
2014/10/20 (Mon) 18:17:41
風も弱まりカラッとした青空が続いていた今日の八丈島。海の方は、南西側は引き続き穏やかな感じでした。
天気:晴れ 風:東→南東 気温:18-25℃
水温:23℃ 透明度:30m~ ダイビングポイント:ナズマド
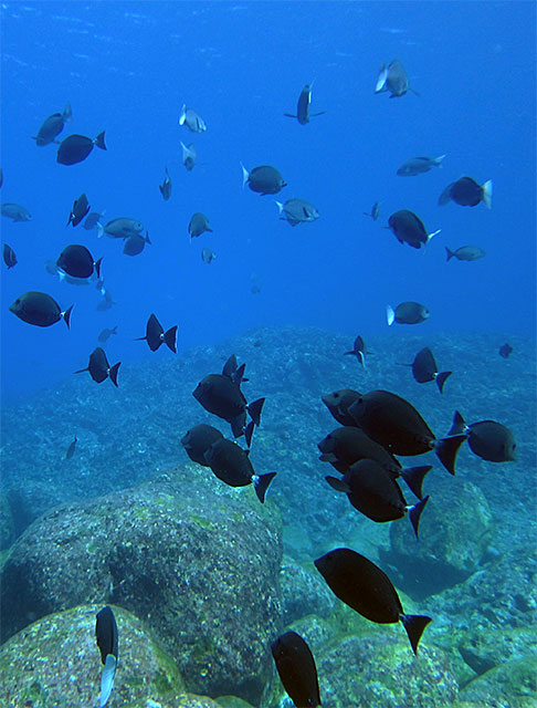
続く青空気持ちよく、風も穏やかになっていたので、本日もナズマドでダイビングです。
水温は少し下がっていましたが、水は綺麗で、午前中は北潮そこそこ流れていたんで、ちょっと遠出してシンジュアナゴを見に行って、道中、ニザダイとメジナが群れていたり、イトヒキアジの子どもなんかも通っていって、
午後からは潮が変わって南からで、ミナミゴンベにホシゴンベ、レンテンヤッコの子どもにユウゼンなんかもおりまして。ちょっと沖では、ヒラマサやカマスサワラも周ってきてたりしてました。
明日からゆっくり天気は下り坂。風も南寄りで強まってもくるみたいなので、時間ともに南西側はパシャついてきそうな感じです。
天気:晴れ 風:東→南東 気温:18-25℃
水温:23℃ 透明度:30m~ ダイビングポイント:ナズマド
続く青空気持ちよく、風も穏やかになっていたので、本日もナズマドでダイビングです。
水温は少し下がっていましたが、水は綺麗で、午前中は北潮そこそこ流れていたんで、ちょっと遠出してシンジュアナゴを見に行って、道中、ニザダイとメジナが群れていたり、イトヒキアジの子どもなんかも通っていって、
午後からは潮が変わって南からで、ミナミゴンベにホシゴンベ、レンテンヤッコの子どもにユウゼンなんかもおりまして。ちょっと沖では、ヒラマサやカマスサワラも周ってきてたりしてました。
明日からゆっくり天気は下り坂。風も南寄りで強まってもくるみたいなので、時間ともに南西側はパシャついてきそうな感じです。
PR
この記事にコメントする
ARCHIVE
CALENDAR
COMMENTS
2015年3月から15件表示中
初シュノーケリング
2015/03/29 A
2015/03/29 A
初ダイビング
2015/03/23 漆原
2015/03/23 漆原
ウミガメがたくさん!
2015/01/12 西嶋
2015/01/12 西嶋
ウミガメー!
2015/01/11 古城
2015/01/11 古城
無題
2014/11/17 (≧∇≦)名前はヒミツさん
2014/11/17 (≧∇≦)名前はヒミツさん
無題
2014/11/03 猪狩千鶴 大淵愼子
2014/11/03 猪狩千鶴 大淵愼子
無題
2014/10/29 (≧∇≦)名前はヒミツさん
2014/10/29 (≧∇≦)名前はヒミツさん
ありがとうございました!
2014/10/15 みさ
2014/10/15 みさ
ダイビングしてよかった!!
2014/09/22 mako
2014/09/22 mako
素敵な思い出になりました!
2014/09/20 kawamura
2014/09/20 kawamura
よかったです!
2014/09/20 suzuki
2014/09/20 suzuki
ありがとうございました
2014/09/19 Ryougaの母
2014/09/19 Ryougaの母
ウミガメが目の前に・・・
2014/09/19 Ryouga
2014/09/19 Ryouga
無題
2014/09/19 ヨコカワ
2014/09/19 ヨコカワ
美しい青い海に感動しました!
2014/09/19 ヨコカワ
2014/09/19 ヨコカワ